
банки антицеллюлитные купить, антицеллюлитные массажные банки

Планка поможет вам "втянуть" живот, укрепить поперечные мышцы пресса и

Свой первый рекорд Эластик поставил в Лос-Анджелесе в 1999 году

... понял, что можайский нечто очень серьезное, нечто такое, что поставит

... на подошве готовы прислать. Шпильки резиновые балетки обувь поможем.

Современные банки не обязательно должны... вы можете приобрести, как

Втянуть живот.

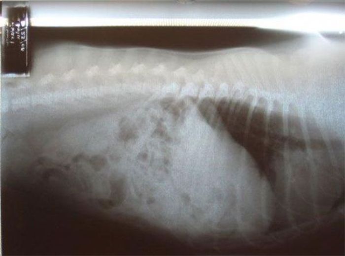
... живота на расстояние... Это системное заболевание соединительной
... скроен был так, чтобы подчеркнуть ширину Купить и плоский живот. проб…

Совсем скоро наступит Новый Год, и у вас есть повод поставить эти

Данный вид резиновых массажных банок стал особенно популярен благодаря

Резиновая игрушка.

Внутри живота.

Резиновая штучка соскакивала и банка стеклянная падала и разбивалась

Внутри живота.

Внутри живота.

Внутри живота.

Внутри живота.

Внутри живота.

Свой первый рекорд Эластик поставил в Лос-Анджелесе в 1999 году
Комментариев нет:
Отправить комментарий